Destacados
Últimas noticias
El tifón Noru azota Vietnam y destruye viviendas
El tifón Noru arrancó tejados y provocó cortes eléctricos tras tocar tierra el miércoles en la costa central de Vietnam, llevando a cientos de miles de personas a buscar refugio ante esta tormenta que dejó 10 muertos en Filipinas.
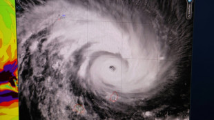
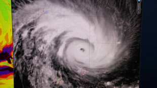
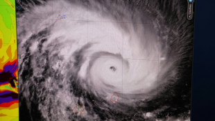
El huracán Ian se fortalece y alcanza la categoría 4 en su camino hacia Florida
El huracán Ian se fortaleció y alcanzó la categoría cuatro, en una escala de cinco, en su rumbo hacia Florida este miércoles, donde los pronósticos auguran vientos "devastadores" después de que a su paso por Cuba la tormenta dejara dos muertos y millones de personas sin electricidad.
Tifón Noru azota a Vietnam, inunda ciudades y destruye viviendas
El tifón Noru arrancó tejados y provocó cortes eléctricos tras tocar tierra el miércoles en la costa central de Vietnam, llevando a cientos de miles de personas a buscar refugio ante esta tormenta que dejó 10 muertos en Filipinas.
Cuba a oscuras tras paso del poderoso huracán Ian, que va rumbo a Florida
El poderoso huracán Ian atravesó desde la madrugada del martes el oeste de Cuba y dejó al país a oscuras con un apagón generalizado al dañar su red de servicio eléctrico, además de arrasar árboles y causar otros destrozos, antes de seguir hacia Florida.
NASA resguarda del huracán Ian al cohete que iba a ser lanzado a la Luna
El nuevo megacohete de la NASA para regresar a la Luna será devuelto a su hangar para resguardarlo del huracán Ian, dijo este lunes la agencia espacial estadounidense, una operación que pospone indefinidamente el despegue de la ansiada misión Artemis 1, ya postergada varias veces.
Más de 12.000 personas evacuadas por lluvias que desbordaron ríos en Honduras
Más de 12.000 personas habían sido evacuadas hasta este lunes en el norte de Honduras por los desbordamientos de ríos caudalosos, causados por aguaceros que ocurrieron el fin de semana por efectos del huracán Ian, informaron las autoridades.
Cuba se prepara para resistir al huracán Ian, que luego seguirá hacia EEUU
Cuba declaró este lunes alerta ciclónica en seis provincias del occidente de la isla ante la proximidad del huracán Ian, de categoría 1, que después de golpear a la isla seguirá rumbo a Estados Unidos.
Cuba declara alerta en occidente de la isla ante aproximación de huracán Ian
Cuba declaró este lunes el estado de alerta para sus seis provincias más occidentales ante la proximidad del huracán Ian, de categoría 1, que avanza por el mar Caribe hacia la isla.
El huracán Fiona deja "huella" de destrucción en la costa este de Canadá
El huracán Fiona azotó con fuerza la costa atlántica de Canadá el sábado, matando a una mujer y dejando sin electricidad a 500.000 hogares.
Fiona golpea costa este de Canadá y deja 500.000 hogares sin electricidad
La poderosa tormenta Fiona golpeó el sábado la costa atlántica de Canadá, dejando sin electricidad a más de 500.000 hogares y causando fuertes vientos y lluvias.
El huracán Fiona toca tierra en Canadá, tras su paso por Bermudas
El huracán Fiona tocó tierra este sábado de madrugada en Nueva Escocia, en el este de Canadá, indicó el Centro Nacional de Huracanes de Estados Unidos, con vientos máximos de 144 kilómetros por hora, tras su paso la víspera por Bermudas.
Muere una persona por un nuevo tifón en Japón
El tifón Talas se acercaba el sábado a las costas de Japón, causando lluvias torrenciales y desprendimientos de tierra que dejaron un muerto y varios heridos una semana después del deceso de cuatro personas por otro ciclón.
Bermudas almacena agua y alimentos ante la llegada del huracán Fiona
Los habitantes de Bermudas protegen los escaparates de las tiendas con tablas de madera y se abastecen de velas, alimentos y agua, a la espera de la llegada del huracán Fiona, de categoría 4, que dejó un rastro de destrucción en el Caribe desde el fin de semana.
El huracán de categoría 4 Fiona avanza a las Bermudas
Fiona se convirtió el miércoles en huracán de categoría 4 después de azotar las islas caribeñas Turcas y Caicos y de causar varios muertos, inundaciones y graves daños materiales a su paso por Puerto Rico y República Dominicana.
Huracán Fiona escala a categoría 3 y llega a islas Turcas y Caicos
Fiona se convirtió en un poderoso huracán de categoría 3 el martes mientras se dirige hacia las islas Turcas y Caicos después de dejar dos muertos y provocar grandes inundaciones y apagones en el Caribe.
Un muerto y decenas de heridos en Japón tras paso de tifón Nanmadol
Los niveles de alerta en Japón por el tifón Nanmadol fueron reducidos el lunes, tras los fuertes temporales que causaron al menos un muerto y decenas de heridos.
Japón emite alertas de evacuación después de que el tifón tocase tierra
Millones de personas en Japón se encontraron el lunes con alertas de evacuación cuando el tifón Nanmadol descargó fuertes vientos y lluvias intensas en el suroeste del país, después de tocar tierra la noche anterior.
Poderoso tifón Nanmadol alcanza la costa suroeste de Japón
El potente tifón Nanmadol alcanzó el domingo la costa suroeste de Japón, con las autoridades recomendando la evacuación y puesta a salvo de más de 7 millones de personas, en previsión de las violentas rachas de viento y las lluvias torrenciales que se esperaban.
Miles de japoneses se refugian ante la llegada de un peligroso tifón
Miles de personas acudieron el domingo a refugios en el suroeste de Japón ante la llegada del potente tifón Nanmadol, que llevó a las autoridades a recomendar la evacuación de tres millones de habitantes.
Lluvias torrenciales causan inundaciones y desprendimientos de tierra en Portugal
Las fuertes lluvias que azotan Portugal desde el lunes provocaron inundaciones, caídas de árboles y desprendimientos de tierra, principalmente en las zonas afectadas por incendios forestales este verano en el centro del país, informaron el martes los servicios de emergencia.
Jefe de la ONU dice que nunca vio una "masacre climática"
El secretario general de la ONU, António Guterres afirmó este sábado que las inundaciones en Pakistán provocaron una "masacre climática" de magnitud inédita y las achacó al cambio climático acelerado por los países industrializados.
Jefe de la ONU visita Pakistán tras mortíferas inundaciones
El secretario general de Naciones Unidas, António Guterres, empezó este viernes una visita de dos días a Pakistán, cuyas autoridades confían en que impulse la ayuda para millones de afectados por unas catastróficas inundaciones.
Ola de calor debe disiparse en el oeste de EEUU pero seguirán condiciones extremas
Una ola de calor que achicharra a la costa oeste de Estados Unidos comenzará a disiparse, anunció el servicio meteorológico este miércoles, aunque advirtió de peligrosas condiciones climáticas propicias para más incendios.
Dos muertos y miles bajo órdenes de evacuación por un incendio en California
Al menos dos personas fallecieron y miles recibieron órdenes para evacuar sus casas debido a un incendio que crece rápidamente en California, en medio de una intensa ola de calor.
China cierra su agosto más caluroso desde que hay registros
China vivió su agosto más caluroso desde que se iniciaron los registros en 1961, tras semanas de una ola de calor sin precedentes que probablemente se repita y ponga en peligro las cosechas.
Los fabricantes de ladrillos de Pakistán, sin sustento por culpa de las inundaciones
Extinguidos por semanas de lluvias torrenciales, los hornos para la fabricación de ladrillos han quedado abandonados en el pueblo paquistaní de Aqilpur, y con ellos son cientos los trabajadores que andan desesperados en busca de un medio de subsistencia.
Tifón Hinnamnor deja un muerto y varios desaparecidos en Corea del Sur
El tifón Hinnamnor dejó el martes un muerto y nueve desaparecidos en Corea del Sur, antes de devolverse al mar después de provocar reportes de daños materiales.
Tifón Hinnamnor toca tierra en Corea del Sur y provoca cortes de luz en Japón
El tifón Hinnamnor tocó tierra el martes a primera hora en Corea del Sur, provocando la desaparición de una persona, y se dirige hacia Japón, donde hay más de 30.000 hogares sin luz, indicaron las autoridades.
"Retrocedimos 50 años", lamentan agricultores de Pakistán tras inundaciones
"Retrocedimos 50 años", lamenta el agricultor Ashraf Ali Bhanbro, cuyas cerca de 1.000 hectáreas de algodón y caña de azúcar -a punto de ser cosechadas- quedaron destruidas por las inundaciones provocadas por lluvias monzónicas sin precedentes en Pakistán.
Ola de calor en California provoca incendios forestales
Cientos de bomberos tuvieron que soportar altas temperaturas el jueves mientras luchaban contra un incendio forestal a lo largo de una autopista de California, como consecuencia de una terrible ola de calor que azota al oeste de Estados Unidos.
Por ola de calor, piden a los californianos no cargar sus vehículos eléctricos
Los californianos fueron llamados este miércoles a no cargar sus vehículos eléctricos debido a que su envejecida red eléctrica lucha para dar abasto en medio de una ola de calor, un pedido que se da apenas días después de que el estado anunció que frenará la venta de autos a gasolina.
Movilización general en Pakistán para ayudar a afectados por las inundaciones
Helicópteros evacuan a personas aisladas en las montañas del norte y barcos recorren las anegadas llanuras del sur: Pakistán continuaba movilizando el miércoles todos sus medios para ayudar a los millones de afectados por las peores inundaciones de su historia.