Zürcher Nachrichten - La isla estadounidense de Guam se prepara para el impacto del supertifón Mawar

EUR -
AED 4.277061
AFN 76.950546
ALL 96.512644
AMD 444.304954
ANG 2.084732
AOA 1067.955685
ARS 1678.804789
AUD 1.753535
AWG 2.09777
AZN 1.982129
BAM 1.955052
BBD 2.344802
BDT 142.412867
BGN 1.955104
BHD 0.439041
BIF 3439.783382
BMD 1.164619
BND 1.508116
BOB 8.044886
BRL 6.22477
BSD 1.164154
BTN 104.671486
BWP 15.467013
BYN 3.347019
BYR 22826.536869
BZD 2.341394
CAD 1.616631
CDF 2597.100737
CHF 0.936267
CLF 0.027301
CLP 1070.960313
CNY 8.23578
CNH 8.234458
COP 4432.074934
CRC 568.68233
CUC 1.164619
CUP 30.86241
CVE 110.205311
CZK 24.214239
DJF 207.30976
DKK 7.468476
DOP 74.51148
DZD 151.354966
EGP 55.402913
ERN 17.469288
ETB 180.576207
FJD 2.634353
FKP 0.872138
GBP 0.87294
GEL 3.121621
GGP 0.872138
GHS 13.242874
GIP 0.872138
GMD 85.017455
GNF 10114.521851
GTQ 8.917587
GYD 243.565727
HKD 9.067021
HNL 30.662264
HRK 7.530546
HTG 152.401666
HUF 381.989861
IDR 19432.836438
ILS 3.753574
IMP 0.872138
INR 104.748008
IQD 1525.116243
IRR 49059.585596
ISK 148.780327
JEP 0.872138
JMD 186.338677
JOD 0.825743
JPY 180.89856
KES 150.585942
KGS 101.845792
KHR 4661.19586
KMF 491.468929
KPW 1048.149375
KRW 1714.796633
KWD 0.357445
KYD 0.970224
KZT 588.75212
LAK 25245.228701
LBP 104252.948348
LKR 359.092553
LRD 204.901571
LSL 19.730748
LTL 3.438817
LVL 0.704466
LYD 6.328578
MAD 10.750877
MDL 19.808333
MGA 5192.990026
MKD 61.616416
MMK 2445.630016
MNT 4130.324554
MOP 9.335627
MRU 46.42523
MUR 53.654236
MVR 17.946357
MWK 2018.718644
MXN 21.180086
MYR 4.787708
MZN 74.415885
NAD 19.730748
NGN 1689.431805
NIO 42.843601
NOK 11.755591
NPR 167.474897
NZD 2.015379
OMR 0.447788
PAB 1.164249
PEN 3.913302
PGK 4.939325
PHP 68.683372
PKR 326.381174
PLN 4.23112
PYG 8006.935249
QAR 4.243476
RON 5.093347
RSD 117.408742
RUB 89.995986
RWF 1693.844389
SAR 4.371082
SBD 9.577623
SCR 15.736221
SDG 700.522602
SEK 10.954705
SGD 1.5087
SHP 0.873766
SLE 26.786325
SLL 24421.480735
SOS 664.14294
SRD 44.988081
STD 24105.266663
STN 24.490626
SVC 10.185483
SYP 12878.643782
SZL 19.715454
THB 37.105348
TJS 10.681466
TMT 4.076167
TND 3.415093
TOP 2.804124
TRY 49.506337
TTD 7.891979
TWD 36.420086
TZS 2835.847776
UAH 48.866733
UGX 4118.423624
USD 1.164619
UYU 45.532572
UZS 13927.669017
VES 289.50792
VND 30699.36285
VUV 142.165196
WST 3.249463
XAF 655.703207
XAG 0.019942
XAU 0.000275
XCD 3.147441
XCG 2.098188
XDR 0.815257
XOF 655.601918
XPF 119.331742
YER 277.642899
ZAR 19.727131
ZMK 10482.964936
ZMW 26.915582
ZWL 375.006916
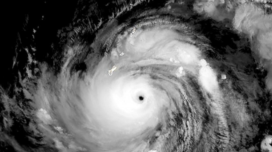
La isla estadounidense de Guam se prepara para el impacto del supertifón Mawar
La isla estadounidense de Guam se prepara para el impacto del supertifón Mawar / Foto: José Romero - Noaa/Rammb/AFP

La isla estadounidense de Guam se prepara para el impacto del supertifón Mawar

El supertifón Mawar, con vientos potencialmente catastróficos, se dirige directamente a la isla de Guam, territorio de Estados Unidos situado en el Pacífico y puesto militar de crucial importancia.

Tamaño del texto:

Según un informe del Servicio Meteorológico Nacional (NWS, por sus siglas en inglés), Mawar se estaba intensificando hasta convertirse en un supertifón de categoría cinco, con vientos máximos sostenidos de 255 kilómetros por hora.

"Estoy preocupado por la seguridad de nuestra gente. Es la primera tormenta de esta magnitud en 20 años", dijo el gobernador Lou Leon Guerrero.

En su trayectoria actual, Mawar pasará directamente sobre la isla de 170.000 habitantes, desatando lluvias torrenciales e inundaciones extremas. "Se prevé que Mawar se intensifique a lo largo de la noche", dijo el NWS.

A las 04H00 locales del miércoles (18H00 GMT del martes), la tormenta estaba 135 kilómetros al sureste de Guam, con vientos máximos sostenidos de 155 km/h, dijo la oficina del NWS en Guam en una advertencia.

"El paso muy cerca o directamente sobre Guam es inminente", dijo el meteorólogo.

"La triple amenaza del supertifón Mawar son las lluvias torrenciales que pueden provocar deslizamientos de tierra e inundaciones repentinas, vientos catastróficos e inundaciones costeras potencialmente letales", dijo.

Los vientos podrían alcanzar ráfagas de hasta 320 km/h, provocando daños importantes en edificios y casas hechos de materiales livianos.

En las costas, los grandes barcos "podrían ser arrancados de las amarras".

Las autoridades ordenaron la evacuación de las zonas costeras bajas, especialmente en las aldeas del sur propensas a inundaciones, y pidieron a todos que "se refugien inmediatamente" ante los vientos destructivos que se esperan para el miércoles por la mañana.

Unos 21.700 militares estadounidenses y sus familias tienen su base en o cerca de varias instalaciones de Guam, que habitualmente alberga submarinos nucleares de ataque, bombarderos de largo alcance y puestos de escucha electrónica.

Las bases estadounidenses también alojan algunas de las instalaciones de almacenamiento de municiones y combustible más importantes de la región del Pacífico.

Según las previsiones, las precipitaciones podrían provocar deslizamientos de tierra en el centro y el sur de la isla, advirtió el servicio meteorológico.

El presidente de Estados Unidos, Joe Biden, declaró el martes el estado de emergencia para Guam, para que se pueda proporcionar ayuda federal a la isla, según un comunicado de la Casa Blanca.

Alrededor de 60 vuelos hacia y desde Guam programados entre el martes y el jueves fueron cancelados, según el Aeropuerto Internacional A.B. Won Pat.

Se prevé que las condiciones mejoren el jueves.

M.Hug--NZN