AEX
2.5600
Ottawa, Toronto, Québec: les opposants aux mesures sanitaires au Canada, dont certains occupent le centre-ville de la capitale fédérale depuis une semaine, ont commencé à se rassembler samedi pour réclamer la levée des restrictions.
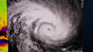
"Menace très sérieuse pour la zone", le cyclone Batsirai devrait atteindre l'est de Madagascar samedi soir, avec des vents annoncés à plus de 200 km/h sur la grande île de l'océan Indien où les habitants essaient de s'abriter avec les moyens du bord.
Les secouristes sont entrés samedi après-midi dans le tunnel qui conduit à la poche où se trouve le petit Rayan, 5 ans, qu'ils espèrent retrouver vivant cinq jours après sa chute dans un puits profond au Maroc.
Chants et prières de la foule accompagnent samedi les derniers efforts des secouristes marocains qui tentent le tout pour le tout pour sauver le petit Rayan, un enfant de cinq ans tombé dans un puits profond, il y a cinq jours, qu'ils espèrent toujours retrouver vivant.
C'est officiel: les Autrichiens de plus de 18 ans doivent dorénavant se faire vacciner contre le Covid-19 sous peine d'encourir une forte amende, une mesure sans précédent dans l'Union européenne.
C'est officiel: les Autrichiens de plus de 18 ans doivent à partir de samedi se faire vacciner contre le Covid-19, sous peine d'encourir une forte amende, une mesure sans précédent dans l'Union européenne.
"Menace très sérieuse pour la zone", le cyclone Batsirai devrait atteindre l'est de Madagascar samedi, avec des vents annoncés à plus de 200 km/h sur la grande île de l'Océan indien où les habitants se préparent à son arrivée avec les moyens du bord.
Le militaire colombien à la retraite inculpé aux Etats-Unis pour sa participation présumée à l'assassinat du président haïtien , a plaidé non coupable des crimes qui lui sont reprochés, a annoncé son avocat vendredi à Miami.
Les magazines Causeur et Valeurs Actuelles ont-ils diffamé le cinéaste Ladj Ly ? Le tribunal judiciaire de Paris a examiné la question vendredi sans la présence à la barre du réalisateur des "Misérables".
Les inondations qui ont frappé Quito en début de semaine ont fait au moins 27 morts et 53 blessés, ont annoncé vendredi les autorités qui recherchaient encore deux personnes portées disparues.
"Dégoût et colère": le procès aux assises de Nordahl Lelandais aborde vendredi le volet des agressions sexuelles de deux petites-cousines de l'accusé avec le témoignage des parents d'une des victimes.
Au nom de la liberté d'informer et sept ans après l'attentat contre Charlie Hebdo, de nombreux médias et associations de journalistes ont soutenu cette semaine l'animatrice de "Zone interdite" Ophélie Meunier, sous protection policière après des menaces pour un reportage sur l'islamisme.
Titulaire quasi indiscutable avec l'équipe de France de rugby, Mohamed Haouas, 27 ans, a été condamné vendredi à 18 mois de prison avec sursis pour son implication dans des cambriolages il y a huit ans. Un passé difficile qu'il a donc enfin soldé.
Les secouristes s'activent vendredi, pour le quatrième jour consécutif, dans l'espoir d'extraire vivant le petit Rayan, un garçonnet de cinq ans tombé dans un puits profond d'un village au Maroc et dont le sort suscite une vague de solidarité à travers le royaume.
Une journaliste du journal indépendant Novaïa Gazeta, spécialiste de la Tchétchénie, a quitté la Russie après des menaces émises par le dirigeant de cette république du Caucase russe, en pleine controverse, a annoncé son média vendredi.
Les secouristes s'activent vendredi, pour le quatrième jour consécutif, dans l'espoir d'extraire vivant le petit Rayan, un garçonnet de cinq ans tombé dans un puits profond d'un village du nord du Maroc, le royaume retenant son souffle.
Les marins du pétrolier mauricien échoué près des côtes de l'île de la Réunion, dans l'océan Indien, ont été ramenés à terre dans la nuit de jeudi à vendredi, a annoncé la Préfecture, au moment où la région est balayée par le cyclone Batsirai.
Les marins du pétrolier mauricien échoué près des côtes de l'île de la Réunion, dans l'océan Indien, ont été ramenés à terre dans la nuit de jeudi à vendredi, a annoncé la Préfecture, au moment où la région est balayée par le cyclone Batsirai.
Les autorités argentines estimaient jeudi la situation "stabilisée" après avoir récupéré une grande partie de la cocaïne frelatée qui a tué au moins 22 personnes près de Buenos Aires et a jeté une lumière crue sur l'ampleur du problème de la drogue dans le pays.
Un pétrolier mauricien s'est échoué jeudi soir tout près des côtes de l'île de la Réunion, dans l'océan Indien, balayée depuis plus de vingt-quatre heures par le puissant cyclone Batsirai dont les autorités anticipent une intensification des vents et des pluies.
Un pétrolier mauricien s'est échoué jeudi soir tout près des côtes de l'île de la Réunion, dans l'océan Indien, balayée depuis plus de vingt-quatre heures par le puissant cyclone Batsirai dont les autorités anticipent une intensification des vents et des pluies.
Dénonçant des réquisitions d'une "immense violence", l'avocat de l'ancien président du Medef Ernest-Antoine Seillière a réclamé la relaxe jeudi soir, au procès pour fraude fiscale des anciens dirigeants et cadres de la société d'investissement Wendel.
Joe Biden est en visite jeudi à New York, meurtrie par une vague de violences par arme à feu, afin d'assurer aux Américains qu'il prend au sérieux la hausse de la criminalité dans le pays, un sujet politiquement miné pour le président américain.
La cour d'appel de Paris rendra le 10 mars sa décision sur la demande de l'acteur Gérard Depardieu d'annuler sa mise en examen pour "viols" et "agressions sexuelles" sur la comédienne Charlotte Arnould, des faits allégués datant d'août 2018, a indiqué jeudi à l'AFP une source judiciaire.
Lancés au galop sur leurs montures, de frêles jockeys encore adolescents participent à la course hippique hebdomadaire de Ouagadougou: au Burkina Faso, le cheval occupe depuis des siècles une place centrale dans la culture du pays.
La justice a révoqué jeudi le placement sous bracelet électronique de Patrick et Isabelle Balkany, condamnés pour "fraude fiscale massive", ouvrant la voie à l'incarcération de l'ancien maire LR de Levallois-Perret (Hauts-de-Seine) et de son épouse.
En 2015, le journaliste Nacho Carretero faisait sensation en Espagne avec son livre "Fariña" sur le trafic de cocaïne en Galice dans les années 1990. Sept ans plus tard, "les narcotrafiquants sont toujours là et encore plus puissants qu'avant", assure cet auteur à l'AFP.
Le cyclone Batsirai était "stationnaire" jeudi à la mi-journée et restait à 200 km des côtes de la Réunion, île française de l'océan Indien toujours placée en alerte rouge avec un risque de crues en raison des pluies diluviennes.
Joe Biden se rend jeudi à New York, meurtrie par une flambée de violence, pour assurer aux Américains qu'il prend au sérieux la hausse de la criminalité dans le pays, un sujet politiquement miné pour le président américain.
L'armée, la police et les pompiers équatoriens s'affairaient mercredi pour retrouver des victimes dans la boue et les débris laissés sur un terrain de sport à Quito, frappé par des inondations qui ont fait au moins 25 morts, a constaté l'AFP.
Au moins 20 personnes sont mortes et 74 ont été hospitalisées, en banlieue de Buenos Aires, après une intoxication massive, due à de la cocaïne frelatée, ont annoncé mercredi les autorités.
Au moins 12 personnes sont mortes et une cinquantaine ont été hospitalisées, en banlieue de Buenos Aires, après avoir consommé de la cocaïne frelatée, ont annoncé mercredi les autorités, lançant une mise en garde urgente a qui a acheté de la drogue ces "dernières 24 heures"